Tropical Storm Nadine: Latest Update

T.Zhik 53 views
Tropical Storm Nadine: Latest Update

Tropical Storm Nadine: Latest Update

Hey everyone, let’s dive into the latest on Tropical Storm Nadine today! It’s been a bit of a roller coaster, hasn’t it? Keeping up with these weather systems can feel like a full-time job, but don’t worry, I’ve got your back with the most crucial updates you need to know right now. We’ll break down exactly where Nadine is, what its current strength is, and most importantly, what the projected path looks like. Understanding these key elements is super important for anyone living in or traveling to the affected regions. We’re talking about potential impacts like heavy rainfall, strong winds, and even coastal flooding, so staying informed is your best defense. This update is designed to give you a clear, concise overview, cutting through the jargon and getting straight to the facts. We’ll also touch upon the general conditions contributing to its development and the factors that might influence its future track. Think of this as your go-to guide for all things Nadine, ensuring you’re prepared and informed. Remember, weather can change rapidly, so while this information is current, always keep an eye on official advisories.

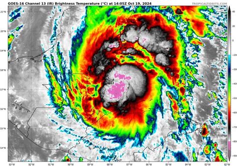
Tracking Tropical Storm Nadine’s Current Position and Intensity

So, where exactly is Tropical Storm Nadine right now? This is the million-dollar question, guys, and it’s crucial for understanding potential impacts. As of the latest advisories, Nadine has been showing some interesting behavior. Meteorologists are tracking its precise coordinates, and we’re seeing it situated in a particular area of the ocean. Its current intensity is also a major point of focus. We’re looking at its sustained wind speeds, which determine whether it’s classified as a tropical depression, a tropical storm, or potentially something more significant. The National Hurricane Center (or the relevant regional meteorological agency) provides regular updates on these metrics. It’s important to understand that these numbers aren’t just abstract figures; they directly translate to the potential hazards Nadine poses. Higher wind speeds mean a greater risk of structural damage and more widespread power outages. We also monitor its pressure, as a lower central pressure generally indicates a stronger storm. The movement of the storm is equally vital. Is it crawling along, or is it making a dash for land? Its speed and direction dictate which areas are most likely to experience its effects first and for how long. Satellite imagery and reconnaissance aircraft are key tools used to gather this data, offering a real-time look at the storm’s structure, including the presence and organization of its thunderstorms. Staying updated on these details helps you gauge the immediate threat and make necessary preparations. It’s all about having the most accurate, up-to-the-minute information so you can take appropriate action, whether that’s securing your property or making travel plans. The Nadine storm update today is really about painting a picture of its current state and how that state might evolve.

Projected Path and Potential Landfall Zones for Nadine

Alright, let’s talk about where Tropical Storm Nadine is headed . This is arguably the most critical piece of information for people in its potential path. Meteorologists use sophisticated computer models to forecast the storm’s track over the next few days. These models take into account various atmospheric factors like steering currents, wind shear, and interactions with other weather systems. While no forecast is 100% accurate, these models provide the best available guidance on where Nadine is most likely to go. It’s important to understand that the forecast cone of uncertainty is not a guarantee of where the storm will hit, but rather an area where the center of the storm is expected to track. The wider the cone, the greater the uncertainty in the forecast. We’re looking at potential landfall zones, which could range from specific coastlines to broader regions. Coastal communities need to pay close attention to these advisories. Even if the center of the storm doesn’t make a direct hit, areas outside the immediate track can still experience significant impacts, including heavy rainfall leading to inland flooding, dangerous storm surge along the coast, and damaging winds. The timing of any potential landfall is also a key factor, influencing evacuation orders and preparation timelines. This is where the tropical storm update Nadine really comes into play for disaster preparedness. Authorities use these forecasts to issue warnings and watches, giving residents time to prepare, evacuate if necessary, and secure their homes. Remember, it’s always better to be overly cautious when it comes to tropical cyclones. Heeding the advice of local emergency management officials is paramount. They have the most localized and specific information for your area. Keep checking official sources for the latest updates, as the forecast track can and often does change.

What to Expect: Impacts of Tropical Storm Nadine

Okay, guys, let’s get real about what Tropical Storm Nadine could bring. It’s not just about the wind and rain; it’s about the impacts on our lives and communities. The primary concerns with a storm like Nadine typically include several key threats. First off, heavy rainfall . Even if Nadine doesn’t make a direct landfall as a hurricane, the sheer volume of moisture it can carry can lead to significant freshwater flooding. This is particularly dangerous for inland areas that may not typically experience coastal flooding but are prone to riverine flooding or flash floods from intense downpours. We’re talking about the possibility of several inches, or even feet, of rain accumulating over a short period, making roads impassable and potentially overwhelming drainage systems. Secondly, strong winds . Depending on Nadine’s intensity and proximity, sustained winds can cause widespread power outages by downing trees and power lines. These winds can also cause damage to homes and businesses, especially those not built to withstand such forces. The stronger the winds, the more severe the potential damage. Thirdly, storm surge . This is a critical concern for coastal communities. Storm surge is an abnormal rise in sea level generated by the storm’s winds pushing water onshore. It’s often the most deadly aspect of tropical cyclones. Even a moderate storm can produce dangerous storm surge, inundating low-lying coastal areas and causing significant property damage. Finally, rip currents and rough seas . For anyone near the coast, even far from the storm’s center, Nadine can generate dangerous rip currents and large waves, making swimming and boating hazardous. The osctropicalsc storm update today nadine is all about preparing for these potential hazards. It’s vital to have an emergency kit ready, know your evacuation routes, and stay tuned to local authorities for specific guidance. Your safety is the absolute top priority, and understanding these potential impacts is the first step in being prepared.

Factors Influencing Nadine’s Development and Track

Curious about why Tropical Storm Nadine is doing what it’s doing? Let’s break down the scientific factors that influence its development and track. Think of the atmosphere as a giant, complex fluid system, and tropical cyclones are like powerful engines within it. One of the most significant influences is sea surface temperatures . Tropical storms draw their energy from warm ocean waters, typically above 80 degrees Fahrenheit (26.5 degrees Celsius). The warmer the water, the more fuel the storm has to intensify. If Nadine is over cooler waters, it can weaken or struggle to develop further. Another critical factor is wind shear . This refers to changes in wind speed and/or direction with height in the atmosphere. High wind shear acts like a blender, tearing apart a developing storm’s structure and preventing it from organizing and strengthening. Low wind shear, on the other hand, allows the storm to remain vertically aligned and become more powerful. Atmospheric moisture also plays a huge role. A moist environment surrounding the storm allows thunderstorms to develop and sustain themselves, feeding the storm’s circulation. Dry air entrainment can weaken the storm. Furthermore, steering currents – essentially the large-scale wind patterns in the atmosphere – dictate the storm’s overall path. Think of these as the conveyor belts that move the storm across the ocean. These currents can be influenced by high-pressure systems (like the Bermuda High) or low-pressure troughs. The interaction of Nadine with these features is what guides its track. Sometimes, multiple computer models disagree on the strength and position of these steering currents, which is why the forecast cone of uncertainty exists. Understanding these meteorological elements helps us appreciate the dynamic nature of tropical cyclones like Nadine. The tropical storm update today is a snapshot influenced by all these interacting forces. It’s a constant dance between the storm and its environment, making meteorology such a fascinating, albeit sometimes stressful, field!