Tropical Cyclone Center: A View From Any Height

T.Zhik 11 views
Tropical Cyclone Center: A View From Any Height

Tropical Cyclone Center: A View From Any Height

Hey guys, ever wondered what’s happening right at the center of a tropical cyclone no matter how high up you go in the atmosphere? It’s a pretty mind-blowing topic, and understanding it is key to predicting these massive storms. So, let’s dive in and explore the atmosphere’s perspective on the eye of the storm!

When we talk about the center of a tropical cyclone , most of us immediately picture that eerily calm, clear area we call the “eye.” It’s the calm before the storm, right? But this eye isn’t just a flat disc; it’s a three-dimensional feature that extends all the way up through the storm’s vertical structure. The center of a tropical cyclone is essentially a region of sinking air, which is why it’s so clear and calm. Unlike the eyewall, which is a ring of intense thunderstorms rotating around the eye, the eye itself is characterized by subsidence. This sinking air warms and dries as it descends, suppressing cloud formation and precipitation. So, even at hundreds of kilometers above the surface, the air above the storm’s center is typically sinking, helping to maintain that distinct eye structure. This sinking air originates from the very top of the troposphere, often near the tropopause, and spirals inward and downward. It’s a crucial part of the storm’s engine, helping to ventilate the outflow at the storm’s upper levels. Without this sinking motion, the eye wouldn’t be able to form or persist, and the storm’s intensity would likely be limited. Think of it like a chimney effect; air rises violently in the eyewall, shoots out the top, and then some of that air gets pulled back down into the center, creating that pocket of calm. This process is fundamental to the thermodynamics of a tropical cyclone, allowing the storm to efficiently release heat into the surrounding atmosphere and maintain its powerful circulation. The intensity of the sinking motion and the temperature contrast between the eye and the eyewall are directly related to the storm’s strength. A well-defined, warm core eye is often a sign of a strong and healthy cyclone. Conversely, if the eye becomes obscured by clouds or shows signs of warming less rapidly, it can indicate that the storm is weakening or encountering unfavorable atmospheric conditions.

The Eye: A Unique Atmospheric Phenomenon

Now, let’s get a bit more technical, but don’t worry, we’ll keep it chill. The center of a tropical cyclone , or its eye, is a region where the atmospheric pressure is at its lowest. This low pressure pulls in air from the surrounding environment. However, due to the Coriolis effect (that’s the spin caused by the Earth’s rotation, guys), the air doesn’t directly flow into the center and rise. Instead, it spirals inward. As this air gets closer to the center, something fascinating happens. Instead of rising like it does in the violent eyewall, it starts to sink. This sinking air is what creates the clear skies and calm conditions we associate with the eye. Even at high altitudes, thousands of feet above the surface, this sinking motion persists. It’s a critical feedback loop that sustains the storm’s structure and intensity. The air sinking in the eye originates from the upper levels of the storm, essentially being drawn down from the outflow layer at the very top of the troposphere. This downward motion helps to ventilate the storm, allowing the excess heat generated by condensation in the eyewall to be efficiently released. The warmer temperatures in the eye compared to the surrounding eyewall are a direct result of this adiabatic warming of the descending air. This temperature gradient is a key indicator of storm strength; a warmer, drier eye suggests a more powerful and organized cyclone. Scientists use specialized aircraft and satellites to measure these temperature and pressure differences, which are vital for forecasting.

What Happens Up There?

So, what’s actually happening at the center of a tropical cyclone way up high? Think of the storm as a giant engine. Air rises rapidly in the eyewall, releasing tremendous amounts of latent heat as water vapor condenses into rain. This makes the air at the top of the eyewall extremely warm and buoyant. At the very top of the storm, around the tropopause (where the troposphere meets the stratosphere), much of this air is ejected outwards, away from the storm. However, a portion of this air gets drawn back down into the storm’s center. As this air descends through the core of the cyclone, it warms up and dries out because it’s being compressed. This descending air suppresses cloud formation, leading to the clear skies and relatively calm conditions found in the eye. So, even at altitudes of 40,000 feet or more, the characteristic sinking motion of the eye is present. This process is crucial for maintaining the storm’s structure and intensity. It helps to ventilate the storm, allowing it to continue drawing in warm, moist air at its base and fueling the powerful thunderstorms in the eyewall. The temperature difference between the warm core of the eye and the cooler surrounding eyewall is a significant factor in driving the storm’s circulation. Without this upper-level structure and the associated sinking motion in the eye, tropical cyclones wouldn’t be able to reach their full potential. It’s this intricate interplay of rising and sinking air, heat release, and pressure gradients that makes these storms so formidable.

The Role of Pressure at the Center

Let’s talk pressure, because it’s a huge deal when we’re discussing the center of a tropical cyclone . At the very core of the storm, the atmospheric pressure is at its absolute lowest. This intense low pressure is the primary driver that pulls in the warm, moist air from the ocean’s surface, feeding the storm its energy. As air spirals inwards towards this low-pressure center, it doesn’t just go straight in. Thanks to the Earth’s rotation (the Coriolis effect, remember?), it starts to spin faster and faster. Now, here’s the cool part: instead of rising in the very center, the air actually starts to sink. This sinking air is warmer and drier than the air in the surrounding eyewall. Why? Because as air sinks, it gets compressed, and compression causes warming (this is called adiabatic warming, for you science buffs). This warming suppresses cloud formation and precipitation, creating that distinct clear area we call the eye. So, even at the highest reaches of the storm, this sinking motion continues, contributing to the storm’s overall structure and strength. The temperature difference between the warm, sinking air in the eye and the cooler, rising air in the eyewall is a key factor that fuels the storm’s powerful winds. Meteorologists track this pressure drop very closely because a lower central pressure almost always means a stronger, more intense storm. It’s like the storm is sucking in more energy the lower the pressure gets. This pressure gradient – the difference in pressure between the center and the surroundings – is what creates the powerful winds. Imagine a stretched rubber band; the greater the tension (pressure gradient), the faster it snaps back (winds). The stability of the eye, and the temperature contrast it maintains, is absolutely essential for a tropical cyclone to thrive and intensify.

Why Does Sinking Air Matter?

So, why is this sinking air at the center of a tropical cyclone so important, guys? Well, it’s the secret sauce that keeps the eye clear and the storm organized. In the violent eyewall, air is rising at incredible speeds, carrying moisture and heat upwards. This rising air cools, and its water vapor condenses, fueling the thunderstorms and releasing massive amounts of latent heat. This heat warms the core of the storm, making it less dense than the surrounding air, which further enhances the upward motion. However, all that rising air needs somewhere to go. At the very top of the storm, much of this air is ejected outwards. But within the eye itself, a portion of this air gets drawn back down. As this air descends, it compresses and warms up. This warming prevents clouds from forming and evaporates any existing moisture, leading to the characteristic clear, calm conditions in the eye. This sinking motion is absolutely vital because it helps to ventilate the storm. It allows the storm to efficiently shed the heat generated in the eyewall, preventing the storm from overheating and weakening itself. It also helps to maintain the strong temperature contrast between the warm eye and the cooler eyewall, which is crucial for sustaining the powerful pressure gradient and the intense winds. Without this sinking air mechanism, the eye wouldn’t be able to form, and the storm would likely dissipate. It’s a fundamental part of the storm’s thermodynamic engine, allowing it to maintain its structure and intensity as it moves across the ocean.

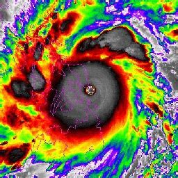
Observing the Center from Above

When we look at a tropical cyclone from space, or even from a high-flying aircraft, the center of a tropical cyclone often appears as a distinct, circular feature. This is the eye we’ve been talking about. Satellites use various instruments, like infrared and microwave sensors, to peer through the clouds and map the storm’s structure. Infrared imagery is particularly useful for seeing temperature differences. The eye typically appears warmer than the surrounding eyewall because of the sinking, warming air. This temperature contrast is a key indicator of a healthy, strong storm. Microwave imagery can penetrate deeper into the storm, revealing the underlying structure of thunderstorms and revealing whether the eye is well-defined or becoming obscured. Aircraft flying into the storm, often called