INOAA Hurricane Tracker Map: Your Guide To Storms

T.Zhik 29 views
INOAA Hurricane Tracker Map: Your Guide To Storms

INOAA Hurricane Tracker Map: Your Guide to Storms

Hey there, weather enthusiasts! Ever found yourself glued to your screen during hurricane season, desperately seeking the latest updates on a brewing storm? Well, you’re not alone! The INOAA Hurricane Satellite Tracker Map is your go-to resource for all things tropical cyclones, offering a comprehensive view of these powerful weather systems. Let’s dive in and explore how this incredible tool works and why it’s so valuable.

Decoding the INOAA Hurricane Satellite Tracker Map: What Is It?

So, what exactly is the INOAA Hurricane Satellite Tracker Map ? In simple terms, it’s a visual representation of hurricane activity, powered by data collected from satellites and other sources. The INOAA (presumably you mean NOAA - National Oceanic and Atmospheric Administration) is a US government agency that provides this crucial data to the public. This map isn’t just a pretty picture; it’s a dynamic tool that shows you the location, intensity, and predicted path of hurricanes, tropical storms, and other significant weather systems. Think of it as your personal weather command center, giving you real-time insights into the potential threats posed by these storms. This helps you stay informed and make informed decisions, whether you’re planning a trip, preparing for a potential landfall, or simply curious about the weather.

This valuable tool combines satellite imagery, radar data, and surface observations to create a comprehensive view of the storms. You’ll see things like the storm’s current position, wind speed, pressure, and forecast track. The map is usually updated frequently, often every few hours, so you’re always getting the most recent information. The INOAA uses various satellites, including geostationary and polar-orbiting satellites, to monitor weather conditions across the globe. Geostationary satellites stay in a fixed position relative to the Earth, providing continuous monitoring of a specific region, while polar-orbiting satellites provide detailed images of the entire planet. The information gathered by these satellites is then processed and integrated into the INOAA Hurricane Satellite Tracker Map . This allows meteorologists and the public alike to visualize and understand the complex dynamics of hurricanes.

Accessing the Tracker and Navigating the Interface

Accessing the INOAA Hurricane Tracker Map is usually super easy! All you need is an internet connection and a web browser. Usually, you can find it directly on the NOAA website. Once you’re on the map, the interface is designed to be user-friendly, even if you’re not a meteorologist. The map displays a wealth of information using a combination of colors, symbols, and text. You’ll see the current location of the storms marked with a symbol, such as a hurricane symbol, and the intensity indicated by the color of the symbol. Lines show the predicted path of the storm, often with a cone of uncertainty, which represents the possible range of the storm’s track. You’ll likely find buttons and menus to customize your view. You might be able to select different layers to display, like wind speeds, rainfall amounts, and satellite imagery. There is often an option to view the data in different formats, such as charts and graphs. The interface will likely provide detailed information about each storm, including its name, current wind speed, pressure, and movement. The map also includes a time slider, which allows you to see the storm’s predicted path over time. You can zoom in and out to get a closer look at a specific area. Remember, the INOAA website is the go-to source for the most accurate and up-to-date information on hurricanes and other weather events. The interface is constantly being updated to provide users with the best possible experience.

The Power of the INOAA Hurricane Satellite Tracker Map

Real-time Tracking and Data Visualization

One of the main benefits of the INOAA Hurricane Satellite Tracker Map is its ability to provide real-time tracking of hurricanes. The map updates frequently, giving you the latest information on a storm’s location, intensity, and movement. You’ll see the storm’s current position, often marked by a symbol, and its intensity is usually indicated by the symbol’s color. Stronger storms are typically shown in more intense colors, providing an immediate visual cue of the storm’s power. The map also uses data visualization techniques to present complex weather data in an easy-to-understand format. For example, the predicted path of the storm is shown with a line, with a cone of uncertainty to illustrate the possible range of the storm’s track. Wind speeds, rainfall amounts, and other data are often displayed using color-coded overlays, making it easy to see where the most significant impacts are expected. This real-time data visualization is crucial for understanding the potential risks and making informed decisions. By tracking these storms in real-time, the map empowers you to stay ahead of the game, whether it’s for personal safety or making critical decisions for your business.

The real-time data is collected from a network of satellites, radar systems, and surface observations. This information is processed and integrated into the map, providing a comprehensive view of the storm’s characteristics. The map’s frequent updates are critical in allowing users to monitor the changes in a storm’s intensity and track. This is especially important during the later stages of a storm, when it may be accelerating or making unexpected turns. Data visualization is crucial for making complex information easy to understand. The map uses colors, symbols, and text to show the storm’s key features, such as wind speed, pressure, and rainfall amounts. This allows you to quickly assess the potential impacts and plan accordingly. The interactive nature of the map allows you to zoom in and out, select different layers, and view the storm’s predicted path over time. This level of detail is extremely helpful in understanding the storm’s potential impacts on your area.

Forecasting and Prediction Tools

Beyond real-time tracking, the INOAA Hurricane Satellite Tracker Map also offers valuable forecasting and prediction tools. These tools are based on complex computer models that use historical data, current observations, and atmospheric physics to predict the storm’s future behavior. These models generate a forecast track, which is a prediction of the storm’s future path. The forecast track is often shown with a cone of uncertainty, which represents the possible range of the storm’s path. The larger the cone, the greater the uncertainty in the forecast. In addition to the forecast track, the map often provides information on the storm’s intensity, including wind speeds and pressure. It also includes the potential for rainfall, storm surge, and other impacts. These tools allow you to prepare for potential hazards and make informed decisions about your safety and property. Understanding the forecast helps you to decide when to evacuate, secure your property, and take other necessary precautions. The forecast tools are continually refined as new data becomes available. The forecasts are updated regularly, often multiple times a day, to reflect the latest information. The INOAA collaborates with other meteorological organizations to improve the accuracy of its forecasts.

These forecasting tools are not perfect, and the predicted track and intensity can change as the storm develops. However, they provide a valuable resource for making informed decisions. By understanding the forecast, you can assess the potential risks and take the necessary steps to protect yourself and your property. These forecasting tools are a powerful resource for anyone living in or near hurricane-prone areas. The ability to anticipate the storm’s path and intensity is crucial for staying safe.

Satellite Imagery and Data Integration

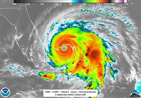
The INOAA Hurricane Satellite Tracker Map wouldn’t be complete without satellite imagery. This imagery provides a visual representation of the storm, allowing you to see its structure, size, and intensity. The imagery is collected by a network of satellites that orbit the Earth, capturing images and other data. The map integrates data from various sources, including geostationary satellites, which provide continuous monitoring of specific regions, and polar-orbiting satellites, which provide detailed images of the entire planet. The integration of this data creates a comprehensive picture of the storm’s behavior. The imagery helps you to understand the storm’s structure, including the eye, eyewall, and rainbands. It also provides insights into the storm’s intensity, such as the strength of the winds and the amount of rainfall. The map often includes different types of imagery, such as visible, infrared, and water vapor images. Visible imagery shows the storm as it would appear to the human eye, while infrared imagery detects the heat emitted by the storm, and water vapor imagery shows the distribution of moisture in the atmosphere. The integration of different data sources is a key strength of the map. By combining data from satellites, radar systems, and surface observations, the map provides a comprehensive view of the storm’s behavior. This allows you to assess the potential impacts and make informed decisions. These images can be useful for identifying features that may be impacting the storm, such as landmasses or other weather systems.

This data integration is critical for creating an accurate and comprehensive picture of the storm. The satellite imagery provides a visual representation of the storm, while other data sources provide information about wind speeds, pressure, and rainfall amounts. This combination of data allows meteorologists and the public alike to assess the potential impacts of the storm and make informed decisions. The use of satellite imagery and data integration is critical for improving the accuracy of hurricane forecasts. By combining data from different sources, meteorologists can create more accurate models of the storm’s behavior and predict its future path.

Using the INOAA Hurricane Satellite Tracker Map: A Step-by-Step Guide

Finding Your Way Around the Map

Okay, so you’ve got the map open – now what? First, you’ll need to know the basics of navigating the interface. The INOAA Hurricane Satellite Tracker Map typically features a central map display, showing the current hurricane activity. You’ll likely see a legend or key, which explains the different symbols, colors, and lines used on the map. This is your cheat sheet for understanding the data. You can usually zoom in and out of the map to get a closer or wider view of a specific area. There will often be controls for panning the map, which allows you to move the display to the desired location. The interface may provide different layers of information. You can often select which data to display, such as wind speeds, rainfall amounts, or satellite imagery. The map often includes interactive elements. You may be able to click on a storm to get more detailed information, such as its name, current wind speed, and forecast track. The user-friendly design of the map allows you to quickly find the information you need, but it’s important to understand the basics of the interface.

Interpreting the Symbols and Data

Let’s get down to the nitty-gritty of interpreting the data. Here’s a quick guide to what you’ll typically see:

  • Storm Symbols: These represent the location of the hurricane or tropical storm. The symbol’s color often indicates the intensity of the storm. For example, a hurricane might be marked with a symbol, and the intensity is indicated by the color of the symbol. The stronger the hurricane, the more intense the color. The symbols might include labels showing the storm’s name and category.
  • Forecast Track: This is the predicted path of the storm. The track is usually indicated by a line, often with a cone of uncertainty. The cone represents the possible range of the storm’s path. The larger the cone, the greater the uncertainty in the forecast.
  • Wind Speed: This is measured in knots (kts) or miles per hour (mph). The map may use color-coded overlays or isobars (lines of equal wind speed) to show the wind speed across a region.
  • Intensity: This is usually categorized using the Saffir-Simpson Hurricane Wind Scale (categories 1-5). The scale classifies hurricanes based on their sustained wind speeds, which helps to assess the potential damage from the storm.
  • Rainfall: The map may show the amount of rainfall expected from the storm, usually displayed using color-coded overlays.

Making Informed Decisions

Knowing how to interpret the map’s data is only half the battle. The other half is using that information to make smart decisions. Use the map to understand the potential risks and to assess your safety and your property. If a hurricane is approaching your area, the map will show you the forecast track and intensity, helping you to evaluate the potential impacts. Check for evacuation orders or other emergency instructions. Local authorities will provide you with information about these, and the INOAA Hurricane Satellite Tracker Map can help you understand the potential risks in your area. Use the forecast to prepare your home. Secure loose objects, board up windows, and protect your property from potential flooding. Have an emergency kit ready. Make sure that you have supplies of food, water, and other essentials. Stay informed. The INOAA Hurricane Satellite Tracker Map is a valuable resource, but it’s important to stay informed about other sources, such as local news and weather reports. Listen to the guidance of local officials, and be prepared to take action as needed. By following these steps, you can use the INOAA Hurricane Satellite Tracker Map to make informed decisions and stay safe during hurricane season.

Beyond the Basics: Advanced Features and Considerations

Exploring Advanced Features and Data Layers

Ready to level up your storm-tracking game? The INOAA Hurricane Satellite Tracker Map often offers more than just the basics. You might find advanced features like:

  • Model Data: Access the output from various computer models, each with its own prediction of the storm’s track and intensity. This can help you understand the range of possible outcomes.
  • Historical Data: View past hurricane tracks and compare them to current storms. This can provide context and help you understand the potential risks.
  • Specific Data Layers: Select and display different data layers. You can choose to show wind speeds, rainfall amounts, storm surge forecasts, and more. This is extremely helpful for understanding the potential impacts in your area.
  • Interactive Tools: Use the interactive tools, such as the ability to click on the storm to get more detailed information, or the ability to measure distances and areas, to analyze the storm. Explore the map’s advanced features to get the most out of this tool and make informed decisions.

Understanding Limitations and Uncertainties

It’s important to remember that no forecast is perfect, and the INOAA Hurricane Satellite Tracker Map is no exception. Some of the limitations to consider are:

  • Model Uncertainty: Weather models are complex, but they are still based on certain assumptions and may not always accurately predict a storm’s behavior. The cone of uncertainty illustrates this point, showing the range of possible outcomes.
  • Data Availability: The accuracy of the map depends on the availability of data from satellites, radar systems, and other sources. Technical issues or unforeseen circumstances can sometimes affect data collection.
  • Rapid Changes: Hurricanes can change rapidly, and the forecast can shift as new information becomes available. It’s important to stay up-to-date with the latest updates.

Complementary Resources and Information

While the INOAA Hurricane Satellite Tracker Map is a great tool, it’s always best to combine it with other resources:

  • Local News and Weather Reports: These sources provide information specific to your area and can alert you to local warnings and evacuation orders.
  • National Hurricane Center (NHC): This is the primary source for official hurricane forecasts and information.
  • Emergency Management Agencies: These agencies provide guidance and resources for preparing for and responding to hurricanes.

By combining these resources, you’ll be well-prepared to deal with hurricane season. Staying informed is the best way to keep yourself and your family safe.

Conclusion: Staying Ahead of the Storm with the INOAA Tracker

So there you have it, folks! The INOAA Hurricane Satellite Tracker Map is an invaluable resource for anyone wanting to stay informed about hurricanes. From real-time tracking and data visualization to forecasting and advanced features, this map offers a wealth of information to help you understand and prepare for these powerful weather events. Remember, knowledge is power, and with this tool in your arsenal, you’ll be well-equipped to weather the storm.

Stay safe out there, and happy storm tracking!