Hurricane Tracking: OSCPSE, SESC, NOAA & Trajectory Explained

T.Zhik 23 views
Hurricane Tracking: OSCPSE, SESC, NOAA & Trajectory Explained

Hurricane Tracking: OSCPSE, SESC, NOAA & Trajectory Explained

Hey everyone! Ever wondered how we track those massive storms that come roaring across the ocean? Well, it’s a mix of cool tech, dedicated people, and some seriously smart science. Let’s dive into the world of hurricane tracking , focusing on the key players like OSCPSE, SESC, NOAA, and of course, the all-important trajectory. Buckle up, because we’re about to explore how these systems work together to keep us informed and safe.

Understanding the Basics of Hurricane Tracking

Alright, before we get into the nitty-gritty, let’s lay down some groundwork. What exactly is hurricane tracking? Simply put, it’s the process of monitoring a hurricane’s location, movement, intensity, and potential impact. This involves gathering data from various sources, analyzing it, and then predicting where the storm is headed and what kind of damage it might cause. Accurate tracking is absolutely critical. Think about it: the better we understand a hurricane, the better prepared we can be. This includes everything from issuing timely warnings and evacuation orders to having the right resources in place to respond to the storm’s aftermath. This entire process depends on reliable data, advanced technology, and skilled meteorologists working around the clock. The goal is to provide people with the most accurate and up-to-date information possible so they can make informed decisions to protect themselves and their property. A core concept in understanding hurricane tracking is the hurricane’s trajectory . This is basically the path the storm is expected to take. Meteorologists use sophisticated computer models and historical data to forecast this trajectory, but it’s important to remember that these are predictions , and hurricanes can be unpredictable. They can change course, speed up, slow down, or intensify unexpectedly. That’s why continuous monitoring and updates are so essential.

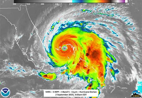
The process starts with identifying and classifying a tropical disturbance. This is a cluster of thunderstorms that has the potential to develop into something more. When a tropical disturbance shows signs of strengthening, such as increased organization and sustained winds, it gets upgraded to a tropical depression. If the winds reach 39 mph (63 km/h), it becomes a tropical storm and gets a name. Once the sustained winds hit 74 mph (119 km/h), the storm is officially classified as a hurricane. At this point, the real tracking efforts begin in earnest. Satellites play a huge role in monitoring hurricanes. They provide a bird’s-eye view, capturing images of the storm’s cloud patterns, wind speeds, and even sea surface temperatures. These images are combined with data from other sources like reconnaissance aircraft (planes that fly directly into the storm) and surface observations (like buoys and weather stations) to create a comprehensive picture of the hurricane. All this information is fed into computer models, which are mathematical representations of the atmosphere and ocean. These models generate predictions about the hurricane’s future path and intensity. The models take into account various factors like wind patterns, atmospheric pressure, and sea surface temperatures. Meteorologists analyze the model output, along with their own expertise and experience, to create the official hurricane forecast. This forecast includes the hurricane’s projected track, intensity, and potential impacts like rainfall, storm surge, and wind speeds. The forecast is then disseminated to the public through various channels, including the National Hurricane Center (NHC) website, local news outlets, and social media. These forecasts are updated regularly, often every six hours, to reflect any changes in the storm’s behavior. Understanding all these steps is crucial for getting a grasp of how these natural disasters are tracked.

The Role of Key Organizations: OSCPSE, SESC, and NOAA

Now, let’s meet the key players in this tracking game. The NOAA (National Oceanic and Atmospheric Administration) is the big kahuna. They’re the ones responsible for monitoring the weather and issuing warnings in the United States. Within NOAA, the National Hurricane Center (NHC) is the dedicated division that focuses specifically on hurricanes. They gather data, analyze it, and issue forecasts and warnings. They work tirelessly to keep us informed. Then, we have OSCPSE, which is a bit of a trick, since it does not exist as an official organization or acronym commonly used in hurricane tracking. It’s important to verify the exact meaning of this acronym if you encounter it in a specific context. Similarly, SESC does not have a commonly recognized role in official hurricane tracking efforts in a global capacity. Local or regional entities might use this acronym, so it’s best to confirm its intended function for accurate comprehension. These entities, if they are relevant, could be involved in data collection, analysis, or dissemination of information related to hurricanes. They might also be responsible for emergency management and disaster response at the local or regional level. So, while NOAA is the central hub, OSCPSE and SESC, in their hypothetical roles, could be critical in providing local expertise or specific data that is helpful for an overall picture. If you’re encountering these acronyms, it’s always best to figure out their exact role in the process.

  • NOAA (National Oceanic and Atmospheric Administration): NOAA is a U.S. federal agency focused on understanding and predicting changes in Earth’s environment. The National Hurricane Center (NHC), a division of NOAA, is the primary source for hurricane forecasts and warnings in the U.S. They’re the ones providing the official information. They gather information from satellites, aircraft, radar, and surface observations to monitor hurricanes, and create forecast tracks and intensity predictions. They also issue watches and warnings to alert the public and emergency managers to the potential threats posed by hurricanes. The NHC’s forecast products include the hurricane’s projected track, intensity, and the potential impacts like rainfall, storm surge, and wind speeds. They update their forecasts regularly, often every six hours, to reflect any changes in the storm’s behavior. The NHC also coordinates with other agencies and organizations, such as FEMA (Federal Emergency Management Agency), to ensure effective communication and response to hurricane threats.
  • OSCPSE: This seems to be a misinterpretation. There is no official organization with this acronym that plays a well-known role in hurricane tracking or warning. The information presented must be verified in the context it’s being used.
  • SESC: This acronym also requires clarification, as it’s not a standard entity. Some regional or local organizations might use this abbreviation to denote their specific function in emergency preparedness or disaster response. If used in a particular region, they can be responsible for collecting and analyzing local data or helping with evacuation and recovery. The functions carried out depend on the specific context of the situation.

It is important to understand that the accuracy of hurricane tracking and forecasting has improved significantly over the years, thanks to advances in technology and the dedication of meteorologists. However, it is also important to remember that hurricane forecasting is not perfect, and there’s always a degree of uncertainty involved. That’s why it is vital to stay informed and heed the warnings issued by official sources, such as the NHC, to ensure your safety and well-being. So, if you’re ever in doubt about a hurricane, always listen to the experts and take the necessary precautions.

Unpacking the Hurricane Trajectory: Prediction and Uncertainty

Alright, let’s talk about the hurricane trajectory . This is the projected path of the hurricane – where it’s expected to go over time. It’s a crucial part of any hurricane forecast. Meteorologists use computer models to predict this trajectory. These models are complex mathematical representations of the atmosphere and ocean, and they take into account various factors like wind patterns, atmospheric pressure, and sea surface temperatures. These models generate predictions about the hurricane’s future path and intensity. The models are constantly being refined and improved, but it’s important to remember that they are not perfect. There are always some uncertainties involved. That’s why the NHC provides a forecast cone, which shows the most probable path of the storm, as well as the uncertainty associated with that path.

The size of the cone reflects the uncertainty. A larger cone means that the storm’s path is less certain, while a smaller cone means that the path is more predictable. The size of the cone is also influenced by the length of the forecast period. The further out in time the forecast goes, the more uncertain the path becomes, which results in a wider cone. The trajectory forecast is based on many factors. The main factors affecting a hurricane’s track include the steering winds in the atmosphere, which are large-scale wind patterns that guide the storm’s movement. These winds can change over time, so meteorologists have to constantly monitor the weather patterns to get a good read on the hurricane’s trajectory. Other factors that can influence the trajectory are the interactions between the hurricane and the ocean. For example, the ocean’s temperature and currents can affect the storm’s intensity and movement. Land also plays a significant role. When a hurricane makes landfall, it interacts with the land, which can slow it down and weaken it. The terrain can also influence the storm’s path and impact. The accuracy of the trajectory forecast has improved significantly over the years, thanks to advances in technology and the increasing understanding of hurricane behavior. However, it is essential to remember that hurricane forecasting is not perfect, and there’s always a degree of uncertainty involved. The NHC provides a forecast cone, which shows the most probable path of the storm, as well as the uncertainty associated with that path. It is important to stay informed and heed the warnings issued by official sources to ensure your safety and well-being.

The trajectory is just one piece of the puzzle. Meteorologists also forecast the intensity of the hurricane. This is how strong the storm’s winds are expected to be. Intensity forecasts are especially challenging because hurricanes can intensify or weaken very quickly, and they can be affected by many factors, such as sea surface temperatures and wind shear (changes in wind speed and direction with height). The NHC’s forecasts include both the track and intensity of the hurricane, along with potential impacts such as rainfall, storm surge, and wind speeds. The NHC updates its forecasts regularly, often every six hours, to reflect any changes in the storm’s behavior. Remember, the hurricane trajectory and intensity forecasts are crucial tools for emergency managers, local authorities, and the public. They help people prepare for the storm and make informed decisions to protect themselves and their property. Make sure to stay informed with reliable sources like the NHC to make your own plans!

Tools and Technologies Used in Tracking Hurricanes

So, what kind of tools and technologies are we talking about here? It’s a pretty impressive arsenal.

  • Satellites: These are our eyes in the sky. Satellites like GOES (Geostationary Operational Environmental Satellite) provide a constant view of the hurricane’s cloud patterns, wind speeds, and even sea surface temperatures. They can also track the storm’s movement and intensity. They give us a big picture, and they’re always watching.
  • Reconnaissance Aircraft: These are specially equipped planes that fly directly into the hurricane. These brave pilots, known as